This New Shrimp Lure Crushed The Nearshore Reef Fish
- By: Luke Simonds
- on
- Found In: Fishing Tips, Fishing Reports, Shrimp Lures, Cobia, Tripletail, Weekly Newsletter: 6-26-22
The video below shows a new shrimp lure catching a wide variety of species the very first time I tried using it out on some nearshore reefs.
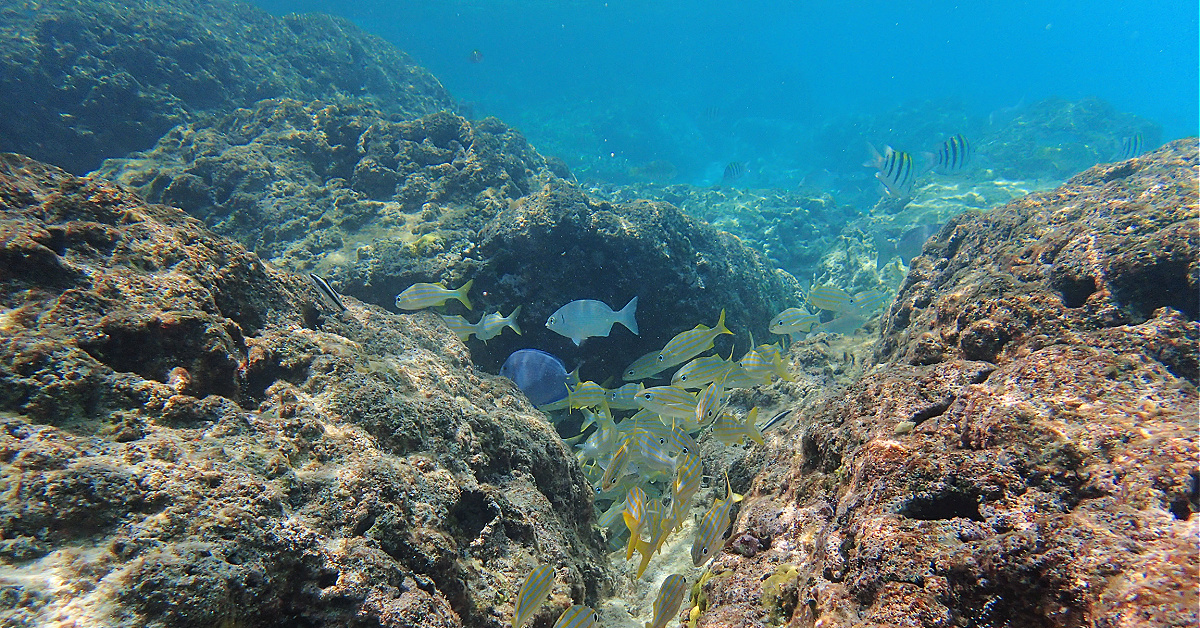
Until recently, I used to think that it was a requirement to have live or frozen bait with me to get results on nearshore reefs. So every trip out to reefs included a lot of time and mess since I’d have to go to a marina and/or throw the cast net on the way out to fishing grounds.
This trip was totally different. I had only a few hours in the morning free to fish due to having a meeting at noon, so there was no time to mess with baits.
Instead, I just rigged up a few rods with Power Prawn USA lures rigged on jig heads that were heavy enough to get it down to the bottom in 30 to 40 ft of water.
The results were immediate and impressive as you’ll see in the video below:
Shrimp Lure For Nearshore Reefs
Get the Power Prawn USA Bundle package
See the Insider Report details from this trip
Trip Details:
- Craft – 24 ft Pathfinder
- Weather – Clear skies
- Wind – 0 to 5 MPH from the SE
- Tides – Incoming tide
- Time – Fished from 7:30 am to 11:30 am
- Water Clarity – Clear
- Water Depth – 30 to 45 ft
Equipment Used:
Bottom Jig Setup (Cobia, Grouper, Seabass, Blue Runners, etc.)
- Rod: Mud Hole Custom (10 to 20 lb blank)
- Reel: Daiwa BG MQ 3000
- Line: 20 lb J-Braid 8 Grand – Gray
- Leader: 30 lb Ande Monofilament
- Lure: Power Prawn USA rigged on 1/2 oz football jig prototype
- Scent: Dr. Juice Inshore Slam Scent
Mid Column Setup (Tripletail)
- Rod: Toadfish Travel Rod
- Reel: Fuego 2500-XH
- Line: 10 lb PowerPro
- Leader: 20 lb Ande Monofilament
- Lure: Power Prawn USA Junior rigged on Trout Eye Jig Head – 3/16th oz
- Scent: Dr. Juice Inshore Slam Scent

Conclusion
This trip is yet another example of the fact that live bait is not needed in order to get into some fun fish catching action when fishing nearshore reefs.
And the new Power Prawn USA lures have quickly proven to be a trusted solution when in need of a shrimp jig for nearshore reefs.
This short trip to the reefs was a lot of fun with a lot of rod bending action. And it sure was nice to get back and not have to deal with a messy boat from throwing the cast net and/or from cutting frozen baits for rigging.
It sure was convenient to be able to use my time open to fish that morning to actually fish and not have to bother with live bait.
If you have any questions/comments about this trip, please use the Comments section below.
And if you know someone who wants to learn more about this Toadfish travel rod, please TAG or SHARE this with them!
P.S. Want access to our best fishing spots and tips, plus discounts to our online tackle store? Click here to join us in the Insider Club!
Related categories:
STOP WASTING TIME ON THE WATER!
Do what the “SMART ANGLERS” are doing and join the Insider Club.
Here’s what you’ll receive today when you join:
- Weekly fishing reports and TRENDS revealing exactly where you should fish ever trip
- Weekly “spot dissection” videos that walk you through all the best spots in your area
- Exclusive fishing tips from the PROS you can’t find anywhere else
- Everything you need to start catching fish more consistently (regardless if you fish out of a boat, kayak, or land).
STOP WASTING TIME ON THE WATER!
Do what the “SMART ANGLERS” are doing and join the Insider Club.
Here’s what you’ll receive today when you join:
- Weekly fishing reports and TRENDS revealing exactly where you should fish every trip
- Weekly “spot dissection” videos that walk you through all the best spots in your area
- Exclusive fishing tips from the PROS you can’t find anywhere else
- Everything you need to start catching fish more consistently (regardless if you fish out of a boat, kayak, or land).



Great report Luke! While I haven’t had the opportunity to fish the power prawn in deeper water I have caught just about every inshore species with it fishing the flats off St Marks FL. It has fast become my go to lure. In case you’re still keeping track of species caught on the power prawn I hooked a long nose gar last week while fishing for trout! I often see them off the lighthouse but have never gotten one to bite before.
Taking a head boat out of Ponce Inlet for Red Snapper in July will try the shrimp eith juice
Awesome! I hope you catch the biggest fish on the boat.
Looks like a fun day. Did you find those spots from smart fishing tides ? Or known fishing spots. Want to try some nearshore fishing thanks.
Thanks Jonathan! The first spot was a popular public reef that I originally found from some online research before we had the bottom relief imagery in Smart Fishing Spots. But it shows up in Smart Fishing Spots too which is very helpful to be able to see what’s down there and how spread out it is.
Excellent video Luke! It was a blast being out there! I’m no longer skeptical about the power prawn! It works!! It catches fish!
That sure was a fun trip!